- Úvod
- Nabídka nemovitostí
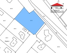
- Prodej pozemku pro výstavbu rodinného domu v obci Křenice, okr. Praha - východ
Prodej pozemku pro výstavbu rodinného domu v obci Křenice, okr. Praha - východ
Popis nemovitosti
Prodej stavebního pozemku pro výstavbu rodinného domu v obci Křenice, okr. Praha - východ. Pozemek o výměře 1.618 m2 se nachází na konci neprůjezdné ulice K Topolům. Pozemek je obdelníkového tvaru dlouhý cca 50 m a široký cca 35 m. Na pozemku je napojení na elektřinu, vodovod a kanalizaci. Pozemek je ze severní části krytý vzrostlými stromy. Pozemek nabízí možnost bydlení v klidné části obce, která je velice dobře dostupná do hlavního města.
Obec Křenice je velice dobře dostupná do centra Prahy (cca 30 min.). V docházkové vzdálenosti zastávku BUS směr stanice metra „B“ Černý Most či stanice metra „A“ Depo Hostivař. V blízkosti je rovněž obec Říčany s veškerou občanskou vybaveností či vlakovým spojením do Prahy - Masarykovo nádraží nebo cca 10 minut do nákupní zóny v Průhonicích - Čestlicích a na nejbližší nájezd na dálnici D1.
V případě zájmu o více informací nás kontaktujte.
Nejde o nabídku k uzavření jakékoliv smlouvy, ale o nezávazné poskytnutí základních orientačních informací, resp. nejde o součást kontraktačního procesu dle ust. § 1731 a násl. zák. č. 89/2012 Sb., občanského zákoníku v platném znění, a tedy se neuplatní ust. § 1729 zák. č. 89/2012 Sb., občanského zákoníku v platném znění. K případnému uzavření jakékoliv smlouvy může dojít toliko v listinné formě, po dohodě na jejím obsahu a všech náležitostech, přičemž případné právní jednání bude uskutečněno přímo mezi smluvními stranami."
Informace k nemovitosti
| Lokalita: | K Topolům 149, Křenice |
| Cena: | prodáno |
| Kategorie: | Pozemky pro bydlení |
| Datum realizace: | leden 2022 |

Bc. Tomáš Indrák
M: +420 727 833 021T: +420 221 722 081
[email protected]Kontaktovat I.E.T.Reality, s.r.o.
Lindleyova 2822/2
Praha 6





