- Úvod
- Nabídka nemovitostí
- Prodej pozemků s platným územním rozhodnutím pro výstavbu obytného domu v Praze
Prodej pozemků s platným územním rozhodnutím pro výstavbu obytného domu v Praze
Popis nemovitosti
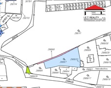
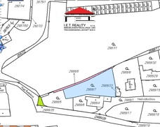
Prodej pozemků pro výstavbu domu v Praze - Libeň, lokalita "Na Hájku". Jedná se o tři pozemky o celkové výměře 537 m2, na které je vydáno platné územní rozhodnutí pro výstavbu třípodlažního rodinného domu. V 1.PP je navržena garsonka a garáž, ve 2. a 3. NP jsou dva byty, celkem 140 m2 obytné plochy. Elektřina je přímo na pozemku, voda a kanalizace ve vzdálenosti cca 50 m. Na pozemku je nyní stará chata.
Pozemek se nachází ve velmi klidné části Libně, v pěší vzdálenosti je veškerá občanská vybavenost i výborné spojení MHD, tram a metro Palmovka. Pokud chcete bydlet v širším centru Prahy a zároveň v klidu, jsou tyto pozemky pro Vás jedinečnou příležitostí a zároveň i výhodnou investicí. V případě zájmu Vám můžeme zprostředkovat i stavbu rodinného domu zděného i dřevostavby, dle projektu i na klíč, ceny již od 2,1mil. včetně základové desky.
Nejde o nabídku k uzavření jakékoliv smlouvy, ale o nezávazné poskytnutí základních orientačních informací, resp. nejde o součást kontraktačního procesu dle ust. § 1731 a násl. zák. č. 89/2012 Sb., občanského zákoníku v platném znění, a tedy se neuplatní ust. § 1729 zák. č. 89/2012 Sb., občanského zákoníku v platném znění. K případnému uzavření jakékoliv smlouvy může dojít toliko v listinné formě, po dohodě na jejím obsahu a všech náležitostech, přičemž případné právní jednání bude uskutečněno přímo mezi smluvními stranami."
Informace k nemovitosti
| Lokalita: | Na hájku, Praha - Libeň |
| Cena: | prodáno |
| Kategorie: | Pozemky pro bydlení |
| Datum realizace: | říjen 2016 |

Jitka Horálková
M: +420 727 869 858T: +420 221 722 006
[email protected]Kontaktovat I.E.T.Reality, s.r.o.
Lindleyova 2822/2
Praha 6
















