- Úvod
- Nabídka nemovitostí
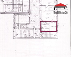
- Pronájem kanceláře 23 m², Sokolská třída, Ostrava - Moravská Ostrava
Pronájem kanceláře 23 m², Sokolská třída, Ostrava - Moravská Ostrava
Popis nemovitosti
Nabízíme k pronájmu kancelář (23 m2) v 1. NP. v budově Diagnostického centra na ul. Sokolská v Ostravě nedaleko centra města. Budova se nachází na rušné ulici 150 m od Nové radnice.
Přímo u budovy se nachází zastávka MHD (Nová radice).
V přízemí budovy je centrální recepce a dostupnost pater je zajištěna výtahy. V případě zájmu je možné domluvit úklid kanceláře.
Toalety jsouu součástí kanceláře.
Možnost využití stávajícího nábytku.
Pro bližší informace (případně prohlídku nemovitosti) kontaktujte našeho makléře.
Nejde o nabídku k uzavření jakékoliv smlouvy, ale o nezávazné poskytnutí základních orientačních informací, resp. nejde o součást kontraktačního procesu dle ust. § 1731 a násl. zák. č. 89/2012 Sb., občanského zákoníku v platném znění, a tedy se neuplatní ust. § 1729 zák. č. 89/2012 Sb., občanského zákoníku v platném znění. K případnému uzavření jakékoliv smlouvy může dojít toliko v listinné formě, po dohodě na jejím obsahu a všech náležitostech, přičemž případné právní jednání bude uskutečněno přímo mezi smluvními stranami."
Informace k nemovitosti
| Lokalita: | Sokolská třída, Ostrava - Moravská Ostrava |
| Cena: | 3 417 Kč za měsíc |
| + služby, kauce a provize RK | |
| Evid. číslo: | IETO838441 |
| Kategorie: | Kanceláře |
| Okres: | Ostrava-město |
| Užitná plocha: | 23 m² |
| Počet podlaží: | 4 |
| Podlaží umístění: | 1. NP |
| Stav objektu: | Velmi dobrý |
| Budova: | Cihlová |
| Typ domu: | Patrový |
| En. náročnost b.: | G (PENB nedodán) |

Ing. Jiří Stupal
M: +420 727 896 023T: +420 595 021 107
[email protected]Kontaktovat I.E.T.Reality, s.r.o.
Stodolní 1293/3
Ostrava
Další informace
| Bezbariérový: | ano |
| Výtah: | ano |
| Komunikace: | Asfaltová |
| Doprava: | Dálnice, MHD, Autobus |
| Voda: | Dálkový vodovod |
| Elektřina: | 230V |
| Odpad: | Veřejná kanalizace |
| Topné těleso: | Radiátory |













